Вхід на сайт

Ел. пошта:
Пароль:

Реєстрація на сайті

Призвіще: Область:
Ім'я: Населений пункт:
    По батькові: Номер телефону:
    Ел. пошта: Компанія:
      Пароль: Посада:
      Повторіть пароль: Рік початку роботи:
      Фото:
      З правилами розміщення об'єктів погоджуюсь

      Забули пароль?

      Вкажіть ел. пошту — ми надішлемо Вам новий пароль для входу
      Ел. пошта:

      Проблема на сайті

      Закрити
      Ваш e-mail:
      (необов'язково)
      Розкажіть нам, що сталось

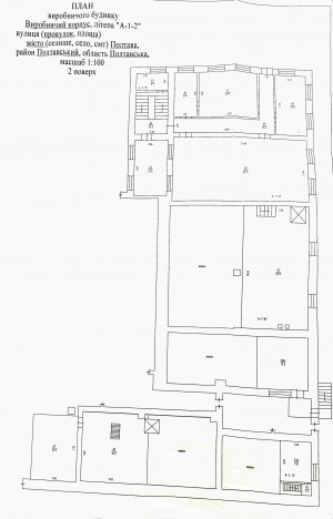
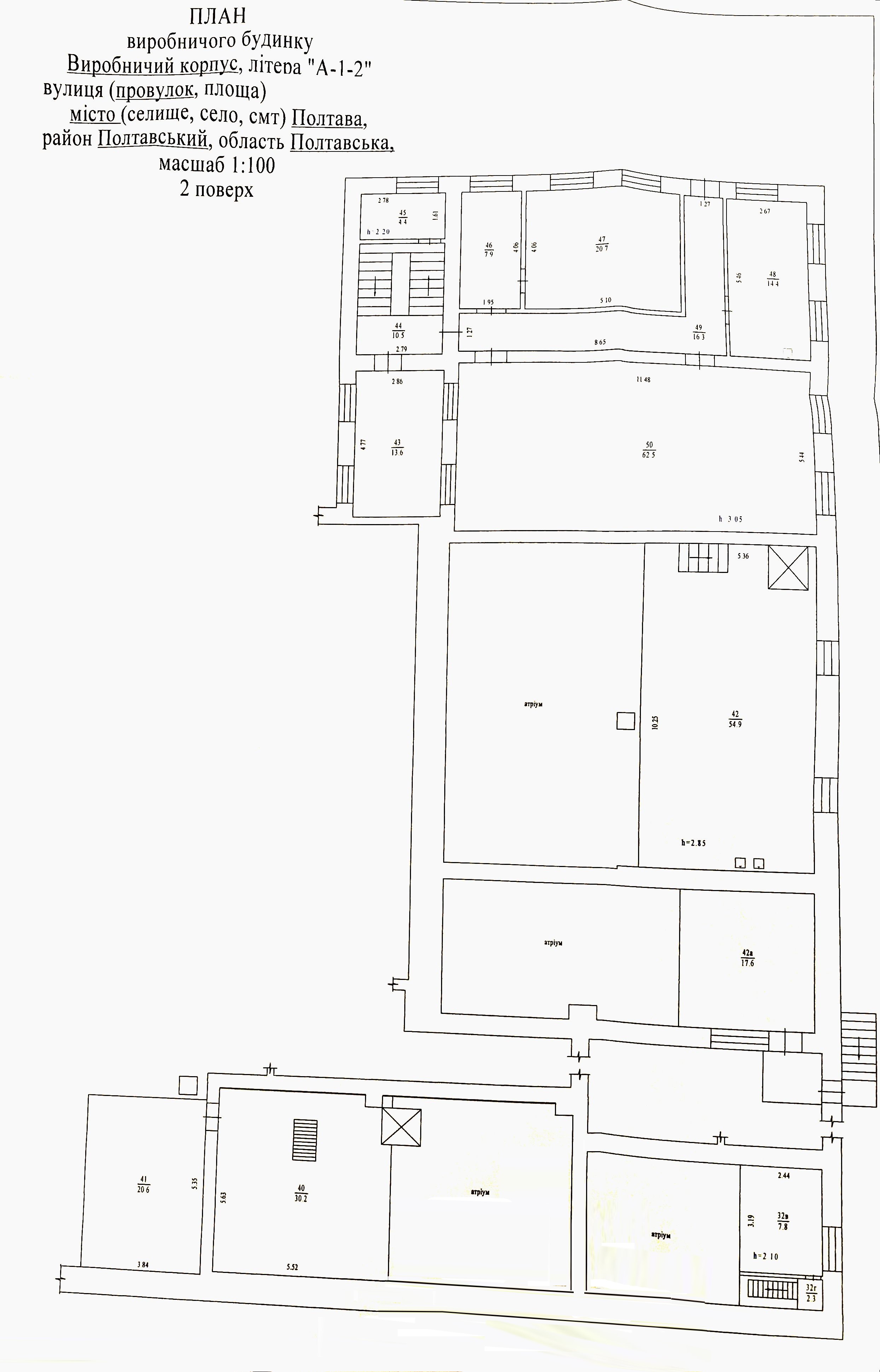
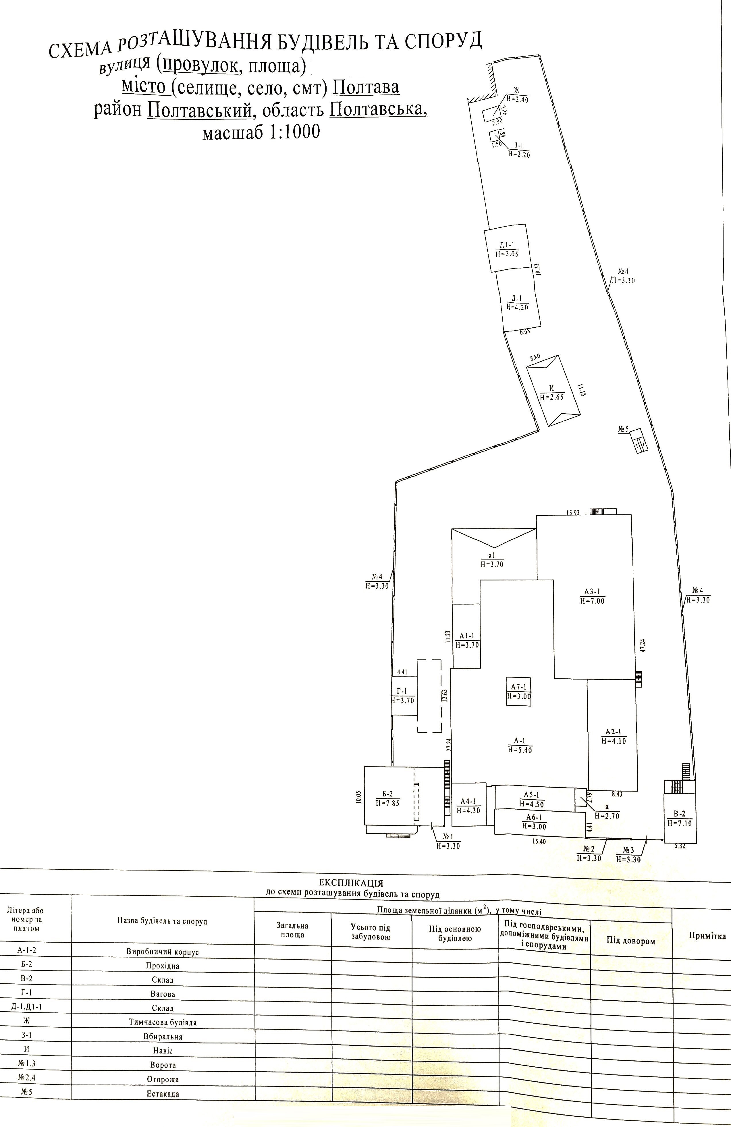
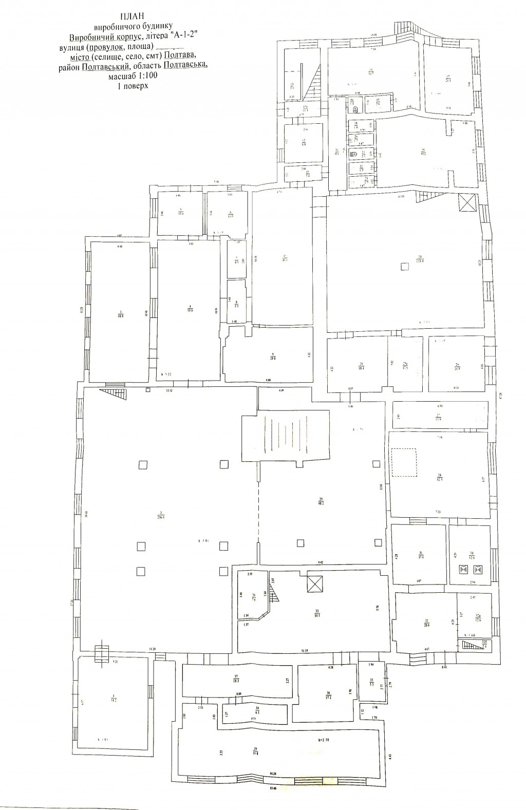
      ул. Сакко — Продається промисловість

      (г. Полтава, Ленинский район)

      200000 $

      Загальна площа: 2000 кв.м

      К-ть поверхів: 2

      Продаж виробничої бази з окремою територією в Полтаві в районі Південного вокзалу, загальною площею будівель близько 2000м2 розміщена на земельній ділянці 0,4га

      Опис:
      - двоповерховий виробничий корпус з офісними приміщеннями площею 1465,5 м2
      - складські приміщення
      - вагова
      - прохідні
      - трансформаторна
      - огорожа

      Комунікації:
      -газ
      -централізоване водопостачання та водовідведення
      -електропостачання КТП 160КВА (128кВт)

      Вартість: $200 000
      - додаткова сплачуються послуги АН- 3%

      Надіслати скаргу

      Закрити
      Поскаржитися на об'єкт «ул. Сакко (г. Полтава, Ленинский район)»
      Ваш коментар:(Необов'язково)
      Ваша скарга буде надіслана ріелтору, що розмістив об'єкт, а також адміністрації сайту АФНУ.
      Ваше ім'я:
      (Обов'язково)
      Ваш e-mail для відповіді:
      (Обов'язково)

      Коментарі